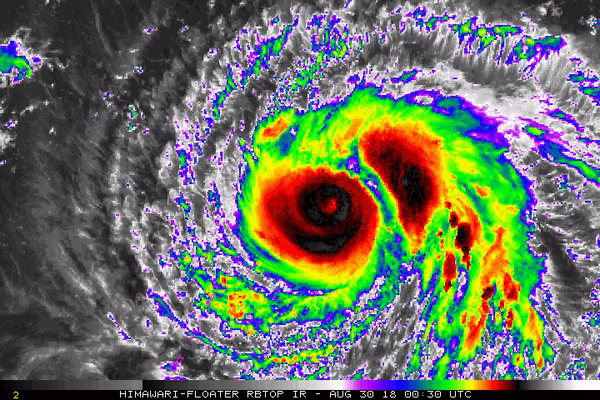
일본은 태풍의 강도를 3단계(강, 매우강, 맹렬)로 나누는데, 현재 태풍 제비는 일본 기준치 최고 단계
미국 기상청은 태풍 최고단계인 카테고리 5(최대풍속 72m/s 이상)로 분류함
나무를 모두 뽑아버리고 주택을 파괴하는 수준
일본기상청 올해 중 가장 큰 태풍으로 예상 중임
화요일에 일본 착륙 예정임
일본은 태풍의 강도를 3단계(강, 매우강, 맹렬)로 나누는데, 현재 태풍 제비는 일본 기준치 최고 단계
미국 기상청은 태풍 최고단계인 카테고리 5(최대풍속 72m/s 이상)로 분류함
나무를 모두 뽑아버리고 주택을 파괴하는 수준
일본기상청 올해 중 가장 큰 태풍으로 예상 중임
화요일에 일본 착륙 예정임
번호 | 분류 | 제목 | 글쓴이 | 날짜 | 조회 수 | 추천 수 |
---|---|---|---|---|---|---|
베스트 글 | mp4 |
의외로 엄청 도움되는 고양이 ㄷㄷ
1 ![]() ![]() |
대단하다김짤 | 2025.10.04 | 212 | 1 |
베스트 글 | mp4 |
천주교 누나 카리나
![]() ![]() |
대단하다김짤 | 2025.10.04 | 382 | 1 |
베스트 글 | mp4 |
자동차에 부딪히는 연기를 하는 방법...
1 ![]() ![]() |
대단하다김짤 | 2025.10.04 | 203 | 1 |
베스트 글 | jpg |
특이점이 온 블랙핑크 리사 인스타스토리 근황ㄷㄷㄷ
![]() ![]() |
대단하다김짤 | 2025.10.04 | 269 | 1 |
베스트 글 | mp4 |
SORA2 AI) 경찰 단속에 걸린 마리오카트 ㄷㄷ
![]() ![]() |
대단하다김짤 | 2025.10.04 | 177 | 1 |
베스트 글 | jpg |
미남 왁서의 말못할 고충
1 ![]() ![]() |
대단하다김짤 | 2025.10.04 | 312 | 0 |
베스트 글 | jpg |
급발진 논란에 억울했던 현대차와 유튜버
1 ![]() ![]() |
대단하다김짤 | 2025.10.04 | 277 | 0 |
베스트 글 | mp4 |
신예은 : 재밌으려고 한거에요 이거?
1 ![]() ![]() |
대단하다김짤 | 2025.10.04 | 284 | 0 |
베스트 글 | jpg |
'잘못은 시의원이 했는데' 꼬리자르기 논란
![]() ![]() |
대단하다김짤 | 2025.10.04 | 187 | 0 |
베스트 글 | jpg |
[속보] 연휴 첫날 결혼 앞둔 30대 남녀 사망…경찰 수사 중
2 ![]() ![]() |
대단하다김짤 | 2025.10.04 | 281 | 0 |
20404 | jpgif |
딸 결혼 얘기하는 최현석 셰프
![]() ![]() |
대단하다김짤 | 2025.10.04 | 267 | 0 |
20403 | jpgif |
오늘자 ITZY 예지
1 ![]() ![]() |
재력이창의력 | 2025.10.03 | 700 | 2 |
20402 | jpgif |
욕먹고 있는 이정후 발언.
3 ![]() ![]() |
재력이창의력 | 2025.10.03 | 510 | 0 |
20401 | jpgif |
한국 진출은 어렵다는 그리스 업체
4 ![]() |
재력이창의력 | 2025.10.01 | 1385 | 0 |
20400 | jpgif |
평균 몸값 1250억이 넘는 상위 1% 남성들의 대화 주제
6 ![]() |
재력이창의력 | 2025.10.01 | 1711 | 4 |
20399 | jpgif |
경복궁은 한국 랜드마크가 아니라는 타일러 ㄷㄷ
6 ![]() |
재력이창의력 | 2025.09.30 | 657 | 1 |
20398 | jpgif |
사춘기 두 딸의 아침식사..
4 ![]() |
재력이창의력 | 2025.09.29 | 876 | 1 |
20397 | jpgif |
영화 인턴 한국판 리메이크 졷망 확정 ㅋㅋㅋㅋ
2 ![]() |
재력이창의력 | 2025.09.29 | 725 | 0 |
20396 | jpgif |
요즘 육아 꿀템으로 소문난 몰폰북
4 ![]() |
재력이창의력 | 2025.09.29 | 1180 | 1 |
20395 | jpgif |
표정 안좋은 이주은 치어리더
3 ![]() |
재력이창의력 | 2025.09.29 | 1287 | 0 |
20394 | jpgif |
퇴근하는 카리나 실물느낌
1 ![]() |
재력이창의력 | 2025.09.29 | 1150 | 2 |
20393 | jpgif |
ㅇㅎ) 몰카가 무섭다는 비키니 눈나들..
3 ![]() |
재력이창의력 | 2025.09.27 | 1490 | 3 |
20392 | jpgif |
카타르 방송나와서 700만뷰 찍는 한국 유튜버
2 ![]() |
재력이창의력 | 2025.09.27 | 1131 | 0 |
20391 | jpgif |
레딧서 화제인 영상
![]() |
재력이창의력 | 2025.09.27 | 602 | 0 |
20390 | jpgif |
현재 레딧에서 핫한 한국 예능
2 ![]() |
재력이창의력 | 2025.09.27 | 776 | 0 |
20389 | jpgif |
8년 동안 못 걷은 빨래
4 ![]() |
재력이창의력 | 2025.09.26 | 1025 | 0 |
20388 | jpgif |
카카오 업데이트 사태때문에 정신아대표가 누군지 궁금해짐
15 ![]() |
재력이창의력 | 2025.09.26 | 1706 | 2 |
20387 | jpgif |
40대 사망원인 1위 처음으로 바뀜
4 ![]() |
재력이창의력 | 2025.09.25 | 739 | 0 |
20386 | jpgif |
ㅇㅎ) ceo를 갈아넣어서 만들었다는 터치스크린 스마트 핸들바
2 ![]() |
재력이창의력 | 2025.09.25 | 1261 | 1 |
20385 | jpgif |
ㅇㅎ) 박규영 속옷 화보
8 ![]() |
대단하다김짤 | 2025.09.24 | 1955 | 1 |
20384 | jpgif |
엘레베이터에서 춤추다 뇌진탕 입은 여자초등학생
5 ![]() |
재력이창의력 | 2025.09.23 | 1051 | 0 |
20383 | jpgif |
속보) 영국 팔레스타인 공식 국가로 인정하기로
2 ![]() |
대단하다김짤 | 2025.09.22 | 429 | 0 |
20382 | jpgif |
펌)데이트룩 골라달라했다가 댓글 난리난 인스타녀 ㄷㄷ
4 ![]() |
대단하다김짤 | 2025.09.20 | 1517 | 0 |
20381 | jpgif |
강아지는 냄새로 시간을 파악한다
1 ![]() |
대단하다김짤 | 2025.09.20 | 520 | 0 |
20380 | jpgif |
100g당 단백질 78g이 들어있는 음식
3 ![]() |
대단하다김짤 | 2025.09.19 | 1349 | 0 |